Skip To Content

21 Orrison St

Worcester, MA 01609
  • $140,000
  • STATUS: Sold
  • MLS #: 73343424
Sold - 04/02/2025
$140,000
SOLD - 04/02/2025
  • 0
    BEDS
  • 0.33
    ACRES
  • 0
    BATHS
  • 0
    1/2 BATHS
Type:
Vacant Land / Lots
County:

School Ratings & Info

Listing courtesy of Brian O'neil of RE/MAX Vision.

Description

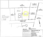
Here's the one your builder has been asking you to find! 14,361 sq ft single family ANR lot on West Side. Dead end street abutting Greater Worcester Land Trust.

Monthly Payment Calculator



The property listing data and information set forth herein were provided to MLS Property Information Network, Inc. from third party sources, including sellers, lessors and public records, and were compiled by MLS Property Information Network, Inc. The property listing data and information are for the personal, non commercial use of consumers having a good faith interest in purchasing or leasing listed properties of the type displayed to them and may not be used for any purpose other than to identify prospective properties which such consumers may have a good faith interest in purchasing or leasing. MLS Property Information Network, Inc. and its subscribers disclaim any and all representations and warranties as to the accuracy of the property listing data and information set forth herein. Data last updated 2025-11-14T00:04:11.14.
www.coastalnewenglandproperties.com/homes/161290754
Print Image

21 Orrison St Worcester, MA 01609

  • Price: $140,000
  • Status: Sold
  • On Site: Days
  • MLS #: 73343424
0
Beds
0
Baths
0
½ Baths
0.33
Acres
County:
Worcester
Property Description
Here's the one your builder has been asking you to find! 14,361 sq ft single family ANR lot on West Side. Dead end street abutting Greater Worcester Land Trust.
Exterior Features

Frontage Length 84.00 Lot Features LevelCurbs & Gutters Number Of Lots 1 Road Frontage Type Public Road Surface Type Paved Waterfront YN No

Property Features

Additional Parcels YN No Association YN No Community Features Walk/Jog TrailsConservation Area Current Financing Cash Disclosures ANR single family lotbut may need site plan and conservation commission approval Electric Nearby Gas None Home Warranty YN No Property Sub Type Residential Senior Community YN No Sewer Nearby Tax Annual Amount 1636 Tax Year 2024 Water Source Nearby Zoning RS-10

Listing information © 2025 MLS Property Information Network. All information is deemed reliable but should be independently verified.
Listing provided courtesy of Brian O'neil of RE/MAX Vision: 508-595-9900.


The property listing data and information set forth herein were provided to MLS Property Information Network, Inc. from third party sources, including sellers, lessors and public records, and were compiled by MLS Property Information Network, Inc. The property listing data and information are for the personal, non commercial use of consumers having a good faith interest in purchasing or leasing listed properties of the type displayed to them and may not be used for any purpose other than to identify prospective properties which such consumers may have a good faith interest in purchasing or leasing. MLS Property Information Network, Inc. and its subscribers disclaim any and all representations and warranties as to the accuracy of the property listing data and information set forth herein. Data last updated 2025-11-14T00:04:11.14.
 
https://bt-photos.global.ssl.fastly.net/mlspin/orig_boomver_1_73343424_2.jpg https://bt-photos.global.ssl.fastly.net/mlspin/orig_boomver_1_73343424_2.jpg https://bt-photos.global.ssl.fastly.net/mlspin/orig_boomver_1_73343424_2.jpg
Logo
Kinlin Grover Compass
45 Court Street
Plymouth MA, 02360
Listing courtesy of Brian O'neil of RE/MAX Vision.