Skip To Content

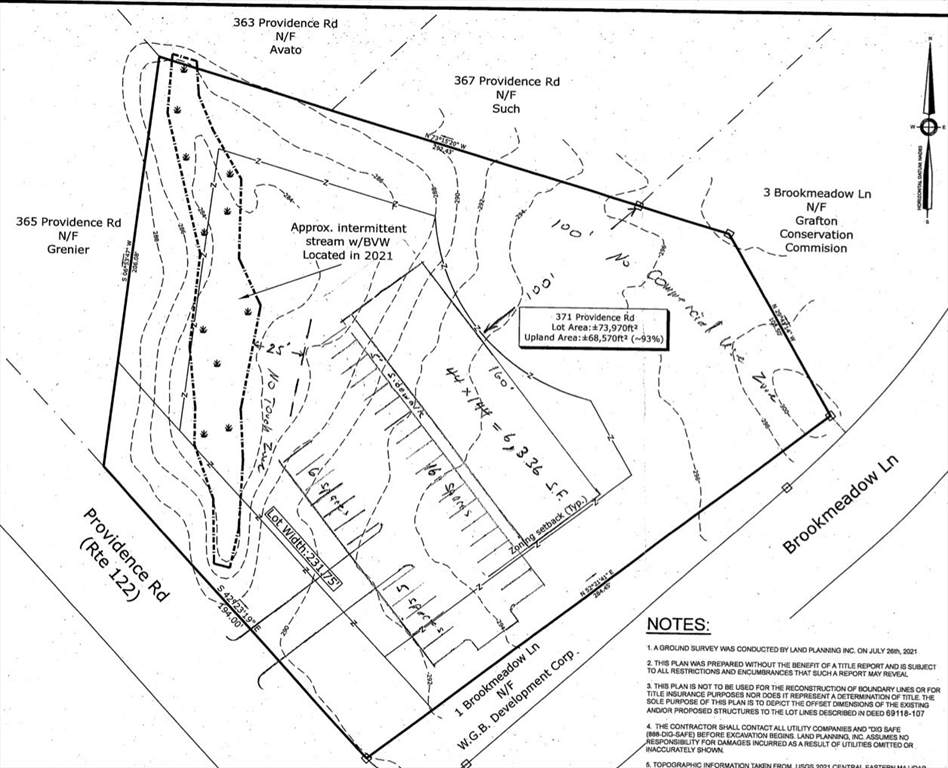
371 Providence Rd

Grafton, MA 01560
  • $250,000
  • STATUS: Sold
  • MLS #: 73270104
Sold - 08/27/2025
$250,000
SOLD - 08/27/2025
  • 0
    BEDS
  • 1.8
    ACRES
  • 0
    BATHS
  • 0
    1/2 BATHS
Neighborhood:
Type:
Vacant Land / Lots
County:

School Information

Elementary School:
Middle School:
High School:
Ghs
Listing courtesy of Barbara Rybicki of REMAX Executive Realty.

Description

Excellent opportunity to build or expand your business in Grafton! Ideally situated, this 1.8 acres level lot offers 205' of frontage right off rte 122 with great visibility and daily traffic count! Investors, developers, business owners take note! Potential to build ~5000sf building. Zoned OLI ( office- light industrial) this partially fenced lot with town water and sewer at street and access to gas, is suitable for a multitude of business and commercial uses such as office, restaurant, retail development, schools, day care, medical office, horticultural/floricultural, recreational facilities, private clubs, animal hospital, auto/track service and many more. Special permits may be required. Developers- this large, level parcel has also a great potential for a multi-unit 40B condo complex. Truly a unique investment opportunity in the fast growing South Grafton Community!

Monthly Payment Calculator



The property listing data and information set forth herein were provided to MLS Property Information Network, Inc. from third party sources, including sellers, lessors and public records, and were compiled by MLS Property Information Network, Inc. The property listing data and information are for the personal, non commercial use of consumers having a good faith interest in purchasing or leasing listed properties of the type displayed to them and may not be used for any purpose other than to identify prospective properties which such consumers may have a good faith interest in purchasing or leasing. MLS Property Information Network, Inc. and its subscribers disclaim any and all representations and warranties as to the accuracy of the property listing data and information set forth herein. Data last updated 2026-03-07T22:04:15.373.
www.coastalnewenglandproperties.com/homes/153015133
Print Image

371 Providence Rd Grafton, MA 01560

  • Price: $275,000
  • Status: Sold
  • On Site: Days
  • Updated: 39 min ago
  • MLS #: 73270104
0
Beds
0
Baths
0
½ Baths
1.8
Acres
Neighborhood:
South Grafton
County:
Worcester
Area:
South Grafton
Elementary School:
Sges, Ges
Middle School:
Grafton Middle
High School:
Ghs
Property Description
Excellent opportunity to build or expand your business in Grafton! Ideally situated, this 1.8 acres level lot offers 205' of frontage right off rte 122 with great visibility and daily traffic count! Investors, developers, business owners take note! Potential to build ~5000sf building. Zoned OLI ( office- light industrial) this partially fenced lot with town water and sewer at street and access to gas, is suitable for a multitude of business and commercial uses such as office, restaurant, retail development, schools, day care, medical office, horticultural/floricultural, recreational facilities, private clubs, animal hospital, auto/track service and many more. Special permits may be required. Developers- this large, level parcel has also a great potential for a multi-unit 40B condo complex. Truly a unique investment opportunity in the fast growing South Grafton Community!
Exterior Features

Lot Features Cleared Road Frontage Type Public Road Responsibility Public Maintained Road Road Surface Type Paved Waterfront Features Stream Waterfront YN No

Property Features

Association YN No Community Features Public TransportationShoppingParkWalk/Jog TrailsMedical FacilityHouse of WorshipPrivate SchoolPublic SchoolT-Station Contingency Pending P&S Current Financing Cash Disclosures Buyers and buyers agents do to their own due diligence and verify all information. Electric At Street Gas Nearby Home Warranty YN No Property Sub Type Commercial Senior Community YN No Sewer Public Sewer Tax Annual Amount 2561 Tax Year 2024 Water Source Public Zoning OLI

Listing information © 2026 MLS Property Information Network. All information is deemed reliable but should be independently verified.
Listing provided courtesy of Barbara Rybicki of REMAX Executive Realty: 508-839-9219.


The property listing data and information set forth herein were provided to MLS Property Information Network, Inc. from third party sources, including sellers, lessors and public records, and were compiled by MLS Property Information Network, Inc. The property listing data and information are for the personal, non commercial use of consumers having a good faith interest in purchasing or leasing listed properties of the type displayed to them and may not be used for any purpose other than to identify prospective properties which such consumers may have a good faith interest in purchasing or leasing. MLS Property Information Network, Inc. and its subscribers disclaim any and all representations and warranties as to the accuracy of the property listing data and information set forth herein. Data last updated 2026-03-07T22:04:15.373.
 
https://bt-photos.global.ssl.fastly.net/mlspin/orig_boomver_2_73270104_2.jpg https://bt-photos.global.ssl.fastly.net/mlspin/orig_boomver_2_73270104_2.jpg https://bt-photos.global.ssl.fastly.net/mlspin/orig_boomver_2_73270104_2.jpg
Logo
Kinlin Grover Compass
45 Court Street
Plymouth MA, 02360
Listing courtesy of Barbara Rybicki of REMAX Executive Realty.