Skip To Content

70 Birch Ave

Haverhill, MA 01832
  • $84,900
  • STATUS: Under Agreement
  • MLS #: 72962146
Pending
UPDATED: 62 min ago
$84,900
  • 0
    BEDS
  • 0.27
    ACRES
  • 0
    BATHS
  • 0
    1/2 BATHS
Type:
Vacant Land / Lots
County:

School Ratings & Info

Listing courtesy of Timothy London of Berkshire Hathaway HomeServices Verani Realty Bradford.

Description

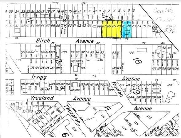
.275 acres of "potentially developable" land in a sought-after location with a seasonal view of the Merrimack River. Buyer to do all due diligence regarding building on the lot. This Parcel May require a retaining wall, due to the steep slope. It is a quiet neighborhood, yet just minutes to RT 495, Public Transportation, and the Westgate Plaza Shops! The home to be built may need a similar design to the home to the right of this parcel. The parcel is located on a dead end, no through traffic.

Monthly Payment Calculator



The property listing data and information set forth herein were provided to MLS Property Information Network, Inc. from third party sources, including sellers, lessors and public records, and were compiled by MLS Property Information Network, Inc. The property listing data and information are for the personal, non commercial use of consumers having a good faith interest in purchasing or leasing listed properties of the type displayed to them and may not be used for any purpose other than to identify prospective properties which such consumers may have a good faith interest in purchasing or leasing. MLS Property Information Network, Inc. and its subscribers disclaim any and all representations and warranties as to the accuracy of the property listing data and information set forth herein. Data last updated 2025-12-09T20:04:09.497.
www.coastalnewenglandproperties.com/homes/127387134
Print Image

70 Birch Ave Haverhill, MA 01832

  • Price: $84,900
  • Status: Under Agreement
  • On Site: Days
  • Updated: 62 min ago
  • MLS #: 72962146
0
Beds
0
Baths
0
½ Baths
0.27
Acres
County:
Essex
Property Description
.275 acres of "potentially developable" land in a sought-after location with a seasonal view of the Merrimack River. Buyer to do all due diligence regarding building on the lot. This Parcel May require a retaining wall, due to the steep slope. It is a quiet neighborhood, yet just minutes to RT 495, Public Transportation, and the Westgate Plaza Shops! The home to be built may need a similar design to the home to the right of this parcel. The parcel is located on a dead end, no through traffic.
Exterior Features

Lot Features Rolling SlopeElevatedSlopedWoodedSteep Slope Road Frontage Type PublicDead EndCity StreetHighway Road Responsibility Public Maintained Road Road Surface Type Paved View Scenic View(s) View YN Yes Water View Features River Waterfront YN No

Property Features

Association YN No Community Features Public TransportationShoppingHighway Access Contingency Pending P&S Disclosures Parcel is currently on same deed as 70 Birch AveLand is to the left of 70 Birch Ave Home. Please find Topography Mapand original Blueprints attached. Electric At Street Gas At Street Home Warranty YN No Property Sub Type Residential Senior Community YN No Sewer Public Sewer Tax Annual Amount 1260.72 Tax Year 2022 Water Source Public Zoning res

Listing information © 2025 MLS Property Information Network. All information is deemed reliable but should be independently verified.
Listing provided courtesy of Timothy London of Berkshire Hathaway HomeServices Verani Realty Bradford: 978-372-9171.


The property listing data and information set forth herein were provided to MLS Property Information Network, Inc. from third party sources, including sellers, lessors and public records, and were compiled by MLS Property Information Network, Inc. The property listing data and information are for the personal, non commercial use of consumers having a good faith interest in purchasing or leasing listed properties of the type displayed to them and may not be used for any purpose other than to identify prospective properties which such consumers may have a good faith interest in purchasing or leasing. MLS Property Information Network, Inc. and its subscribers disclaim any and all representations and warranties as to the accuracy of the property listing data and information set forth herein. Data last updated 2025-12-09T20:04:09.497.
 
https://bt-photos.global.ssl.fastly.net/mlspin/orig_boomver_2_72962146_2.jpg https://bt-photos.global.ssl.fastly.net/mlspin/orig_boomver_2_72962146_2.jpg
Logo
Kinlin Grover Compass
45 Court Street
Plymouth MA, 02360
Listing courtesy of Timothy London of Berkshire Hathaway HomeServices Verani Realty Bradford.